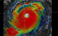
Đài Khí tượng thủy văn Nam bộ cho biết: Hồi 13 giờ ngày 22.9, vị trí tâm siêu bão Ragasa ở vào khoảng 19,4 độ vĩ bắc và 121,7 độ kinh đông, cách đảo Luzon (Philippines) khoảng 140 km về phía bắc. Sức gió mạnh nhất vùng gần tâm siêu bão mạnh cấp 17 (tương đương 202 - 221 km/giờ), giật trên cấp 17. Bão di chuyển theo hướng tây tây bắc với tốc độ 20 - 25 km/giờ. Bão tiếp tục duy trì cường độ cấp 17 giật trên cấp 17 khi vào Biển Đông trong những giờ tới.

Đuôi của siêu bão Ragasa đang quét qua khu vực Nam bộ, gây mưa lớn ở TP.HCM và nhiều tỉnh thành trên khu vực
NGUỒN: HYMETNET
Ông Lê Đình Quyết, Trưởng phòng Dự báo, Đài Khí tượng thủy văn Nam bộ cảnh báo: Siêu bão Ragasa có cường độ rất mạnh, hoàn lưu rộng. Bên cạnh đó, khu vực miền Trung còn có sự tồn tại dải hội tụ nhiệt đới. Dù bão Ragasa ở cách khá xa Nam bộ nhưng do hoạt động rất mạnh sẽ hút gió khiến gió tây nam mạnh lên. Thời tiết TP.HCM trời nhiều mây, xuất hiện nhiễu động trong khí quyển, gây mưa nhiều, gió giật, giông, sét…; có nơi mưa vừa, cục bộ mưa lớn.
Đuôi siêu bão Ragasa quét lên Nam bộ, TP.HCM nguy cơ mưa lớn kết hợp triều cường
Bên cạnh nguy cơ mưa lớn, còn có đợt triều cường đầu tháng 8 âm lịch. Hiện tại, mực nước tại hầu hết các trạm trên sông Sài Gòn tiếp tục lên và có thể đạt đỉnh trong 2 - 3 ngày tới. Dự báo đỉnh triều đợt này xuất hiện trong ngày 23 - 24.9, ở Phú An và Nhà Bè xấp xỉ mức báo động 2, trạm Thủ Dầu Một xấp xỉ hoặc trên mức báo động 3. Do vậy, cần đề phòng mưa lớn kết hợp triều cường cao gây ngập nặng nhiều nơi trũng thấp.

Cảnh báo nguy cơ mưa lớn kết hợp triều cường cao gây ngập nặng nhiều nơi vào chiều tối và sáng sớm
ẢNH: PHẠM HỮU
Các tỉnh Lâm Đồng - Đồng Nai - Tây Ninh, mây thay đổi đến nhiều mây, ngày nắng gián đoạn, chiều và tối có mưa rào nhiều nơi và rải rác có giông, có nơi mưa vừa, cục bộ mưa to, đêm có mưa rào và giông rải rác. Các tỉnh miền Tây chiều có mưa rào và giông rải rác, đêm có mưa vài nơi. Trong cơn giông cần đề phòng sét, gió giật mạnh và lốc xoáy.
Vùng biển từ Lâm Đồng đến Cà Mau (bao gồm vùng biển TP.HCM) có gió tây nam cấp 4 - 5, phía bắc có lúc cấp 6, giật cấp 7 - 8, độ cao sóng 1,5 - 3 m, biển động. Vùng biển Cà Mau - An Giang - Phú Quốc gió tây nam cấp 3 - 4, độ cao sóng 0,5 - 1,5m. Trên cả hai vùng biển, thời tiết có mưa rào và giông rải rác. Trong cơn giông cần đề phòng lốc xoáy và gió giật mạnh.
Bình luận (0)