Bạn cần biết
Tiện ích
Liên hệ
Theo dõi báo trên
Quảng cáo
Đặt báo
Đăng nhập
Bình luận mới được duyệt
Xem tất cả
Thông tin tài khoản
Đổi mật khẩu
Tin đã lưu
Tin đã xem
Đăng xuất
Chính trị
Chính trị
Thời sự
Thời sự
Thế giới
Thế giới
Kinh tế
Kinh tế
Đời sống
Đời sống
Sức khỏe
Sức khỏe
Giới trẻ
Giới trẻ
Giáo dục
Giáo dục
Du lịch
Du lịch
Văn hóa
Văn hóa
Giải trí
Giải trí
Thể thao
Thể thao
Công nghệ
Công nghệ - Game
Xe
Xe
Video
Video
Tiêu dùng
Tiêu dùng
Thời trang trẻ
Thời trang trẻ
Đóng menu
Chào ngày mới
Tin 24h
Tin thị trường
Tin 360
Video
Magazine
Tiện ích
Bạn cần biết
Liên hệ
Thông tin toà soạn
Liên hệ quảng cáo
Biển động dữ dội
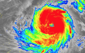
Bão Fung wong vào Biển Đông thành bão số 14, giật cấp 16
Rạng sáng nay (10.11), bão Fung wong đã vào vùng biển phía đông khu vực bắc Biển Đông, trở thành cơn bão số 14 trong năm 2025.
Bão Fung wong đạt cường độ cực đại, Biển Đông sóng cao đến 10 m
Sáng nay bão Kalmaegi vào Biển Đông, mạnh cấp 13 hướng về Gia Lai
Bão Kalmaegi sắp vào Biển Đông, trưa ngày 7 đổ bộ vào đất liền
Bão Kalmaegi vào Biển Đông trưa ngày 5.11, giật cấp siêu bão
Top